Alcanzaste el límite de 40 notas leídas

Para continuar, suscribite a americateve. Si ya sos un usuario suscripto, iniciá sesión.

SUSCRIBITE
Huracán Melissa

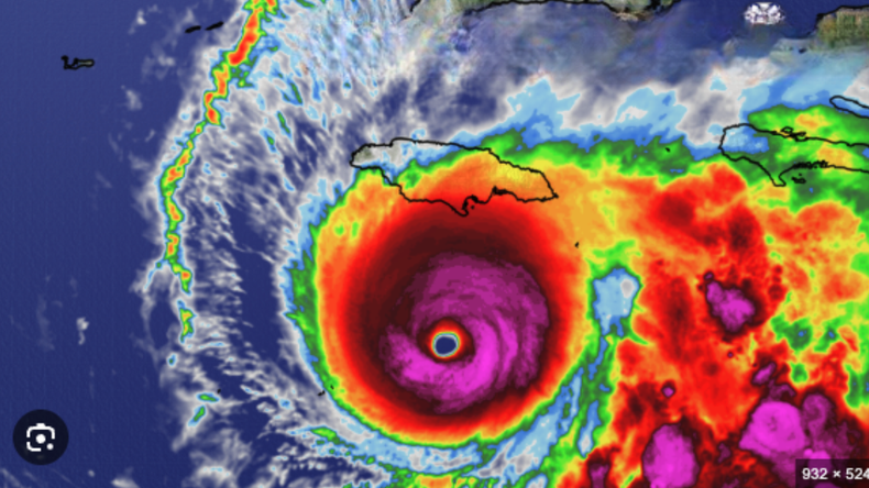
Huracán Melissa alcanza vientos de 174 mph y se convierte en el más devastador del Caribe en décadas

El huracán Melissa, con vientos de 174 mph, se convierte en el más potente del Caribe en décadas, amenazando a Jamaica y Cuba con impacto catastrófico.

americateve | Redacción América Noticias Miami
Por Redacción América Noticias Miami

El huracán Melissa, con vientos sostenidos de 174 millas por hora (280 km/h), amenaza con un impacto catastrófico sobre Jamaica y Cuba, según el Centro Nacional de Huracanes (NHC) de Estados Unidos. El potente ciclón ya es de categoría 5, la más alta en la escala Saffir-Simpson, y el más fuerte registrado en el Caribe en décadas.

Melissa avanza lentamente hacia Jamaica y Cuba

A las 2:00 p.m. (hora del Este), el ojo del huracán Melissa se encontraba aproximadamente a 143 millas al suroeste de Kingston, Jamaica, y a 326 millas de Guantánamo, Cuba, desplazándose lentamente hacia el oeste-noroeste a solo 4 mph (6 km/h).

Las proyecciones indican que el sistema girará hacia el norte en las próximas horas, afectando Jamaica esta noche y cruzando el sureste de Cuba el martes por la noche, antes de dirigirse hacia las Bahamas.

Screenshot 2025-10-27 at 10.08.21PM

Vientos catastróficos e inundaciones severas

El NHC advierte que Melissa podría generar vientos catastróficos, lluvias torrenciales e inundaciones repentinas tanto en Jamaica como en el oriente de Cuba. La presión central mínima, estimada en 906 milibares, confirma la intensidad excepcional del fenómeno y su alto potencial destructivo.

“Melissa llegará a Jamaica y al sureste de Cuba como un huracán extremadamente poderoso”, precisó el informe oficial.

Screenshot 2025-10-27 at 10.08.37PM

Alertas y medidas en Cuba

El Instituto de Meteorología de Cuba mantiene alarma de huracán para las provincias de Camagüey, Las Tunas, Granma, Santiago de Cuba, Guantánamo y Holguín.

Asimismo, Ciego de Ávila y Sancti Spíritus permanecen bajo alerta ciclónica.

Las autoridades exhortan a la población a proteger vidas y bienes, asegurar viviendas, y evitar las zonas costeras y montañosas debido al riesgo de marejadas e inundaciones.

Lluvias extremas y marejadas peligrosas

Se prevén acumulados de lluvia entre 15 y 20 pulgadas (38 a 50 cm) en el oriente cubano, con alto riesgo de deslizamientos de tierra.

Además, se esperan marejadas ciclónicas de hasta 11 pies (más de 3 metros) en la costa suroriental, acompañadas de olas destructivas.

Un desafío para el Caribe

Aunque el peligro es inminente, los expertos piden mantener la calma y seguir las indicaciones oficiales. En los próximos días, el paso del huracán Melissa podría representar uno de los mayores desafíos climáticos para Jamaica y Cuba, poniendo a prueba la resistencia de sus comunidades ante la fuerza del Caribe.

americateve | Redacción América Noticias Miami
Por Redacción América Noticias Miami

Deja tu comentario

¿Querés estar informada/o las 24hs?

Suscribite a nuestro Newsletter