Inicio Louisiana

Noticias sobre Louisiana

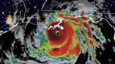
ida toca tierra en louisiana como huracan categoria 4
orden judicial hace que sofia vergara gane otra batalla de sus embriones congelados
cubanos desesperados en un centro de detencion migratorio en louisiana tras dos anos encarcelados
cubanos describen a carcel en louisiana como infierno 
el huracan laura fue calificado como uno de los ciclones mas poderosos que han azotado al estado de louisiana
en pocas horas el catastrofico huracan categoria 4 laura,  impactara los estados de luisiana y texas
familiares de cubanos recluidos en centros de detencion  de ice temen por propagacion del coronavirus
cubanos se burlan de distanciamiento social y a pedradas resuelven una cola del pollo en la habana 
casos en cuba llegaron a 67 y se informo la  muerte de una segunda persona